Te koop Terrains

Beschrijving van   

Vergelijk realty's

Te koop Terrains

Terrains Terrains Terrains
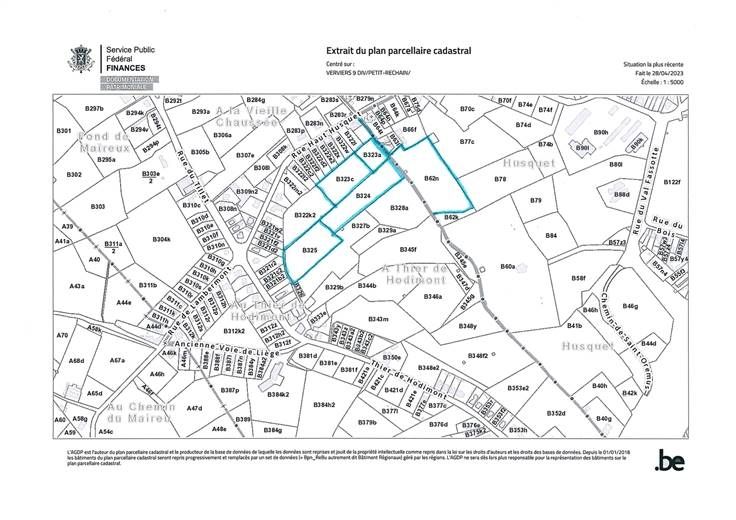
Sorry er is geen nederlandse vertaling beschikbaar. DISON, terrains d'une superficie total de 42.997m² situé en zone ZACC
Type vastgoed Grond
Prijs 1.289.910