Te koop Bouwgrond te koop in Denderleeuw!

Beschrijving van   

Vergelijk realty's

Te koop Bouwgrond te koop in Denderleeuw!

Bouwgrond te koop in Denderleeuw! Bouwgrond te koop in Denderleeuw! Bouwgrond te koop in Denderleeuw! Bouwgrond te koop in Denderleeuw!
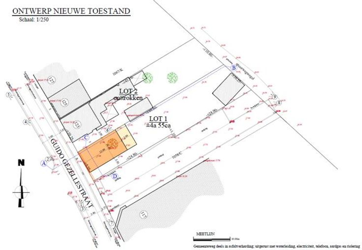
Voor meer info, bel 02 884 23 23, Bouwgrond te koop in Denderleeuw langs de Guido Gezellestraat. Bouwgrond voor een halfopen bebouwing met een oppervlakte van 455m² in het centrum van Denderleeuw. De toekomstige woning mag een gevelbreedte van 6,45m en een bouwdiepte van 15m op het gelijkvloers en 12m op de verdieping hebben. De parkeergelegenheid in de directe omgeving zorgt dat deze locatie ideaal is voor een woning met een commerciële doeleinden.
Type vastgoed Grond
Prijs 135.000