Te koop Bouwgrond

Beschrijving van   

Vergelijk realty's

Te koop Bouwgrond

Bouwgrond Bouwgrond Bouwgrond Bouwgrond Bouwgrond Bouwgrond
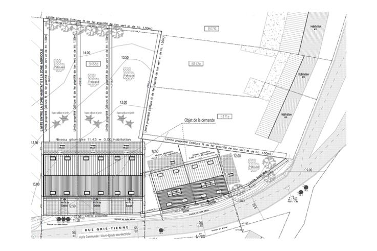
+++ Renseignements complémentaires sur demande au 0470/34.87.93 +++ PLUS D'INFOS SUR WWW.DECA-IMMOBILIER.BE - REFERENCE DU BIEN : 2033 - Ne manquez pas cette occasion unique d'acquérir un terrain exceptionnel de 53a 37ca, offrant une largeur totale de +/- 160m en bordure de voirie, et bénéficiant d'un accès sur deux rues. Situé dans un quartier agréable, ce terrain est parfait pour réaliser un projet immobilier ambitieux. Avec un permis de construction déjà obtenu pour la construction de 5 habitations jumelées, ce terrain présente une opportunité idéale pour les investisseurs et promoteurs immobiliers. La voirie est déjà équipée en eau, électricité et égouttage, garantissant une installation rapide et efficace des futurs bâtiments - Parcelle cadastrée section B468/00D - RC : 37 Euro - FAIRE OFFRE A PARTIR DE 249.000 Euros, sous réserve d'acceptation des vendeurs - Renseignements complémentaires sur demande au 0470/34.87.93
Type vastgoed Grond
Prijs 249.000