Te koop Afgesloten garage

Beschrijving van   

Vergelijk realty's

Te koop Afgesloten garage

Afgesloten garage Afgesloten garage
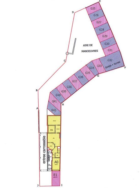
10 box de garages fermés à l'arrière du bâtiment (vendus séparément). Situé dans la cour d'une future copropriété de 42 garages, nous vous proposons les garages suivants : - G30 - 17m² - 30.000,00€ - G33 - 16m² - 30.000,00€ - G34 - 12m² - 27.500,00€ - G35 - 17m² - 30.000,00€ - G36 - 16m² - 30.000,00€ - G37 - 16m² - 30.000,00€ - G38 - 17m² - 30.000,00€ - G39 - 17m² - 30.000,00€ - G40 - 15m² - 30.000,00€ - G41 - 16m² - 27.500,00€ Plus d'infos sur www.notairedharveng.be
Type vastgoed Garage
Prijs 30.000