Te koop Bouwgrond van 9,48 are !

Beschrijving van   

Vergelijk realty's

Te koop Bouwgrond van 9,48 are !

Bouwgrond van 9,48 are ! Bouwgrond van 9,48 are ! Bouwgrond van 9,48 are ! Bouwgrond van 9,48 are !
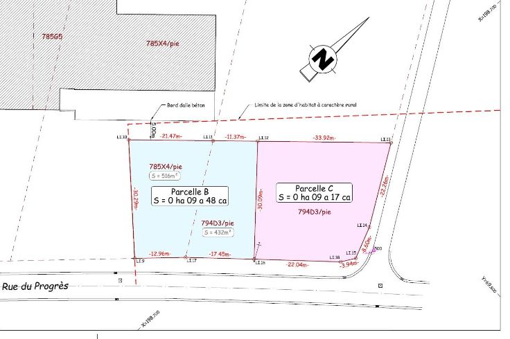
PERCEEL B - Deze bouwgrond van 9,48 are ligt aan de rue du Progrès. Breedte aan straatzijde : 30,41 meter. - Diepte : +/- 30 meter. - Breedte achteraan het terrein : 32,84 meter. - Op het gewestplan : 100 % in woonzone met landelijk karakter.
Type vastgoed Grond
Prijs 60.000