Te koop Huis

Beschrijving van   

Vergelijk realty's

Te koop Huis

Huis Huis Huis
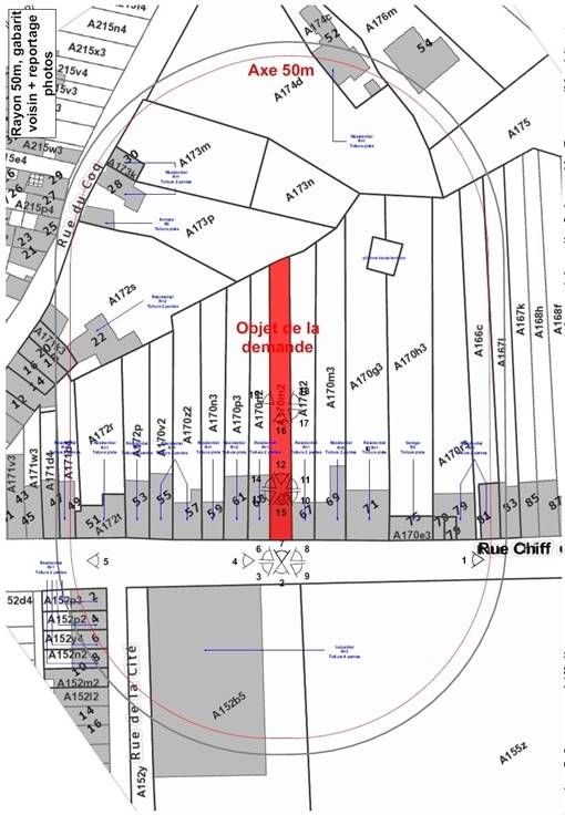
Sorry er is geen nederlandse vertaling beschikbaar. Entre Cointe et Sclessin, au calme mais à proximité de tous les services: TERRAIN 356m² + permis de bâtir - Largeur terrain et façade: 5m - Profondeur terrain: +/- 70m - RC: 260€ - Références cadastrales: A170/00M2 P0000. Ces informations sont communiquées à titre informatif et non contractuelles. Renseignements supplémentaires disponibles sur www.bertholome.be.
Type vastgoed Grond
Prijs 86.500