Te koop Bouwgrond voor halopen bebouwing op rustig...

Beschrijving van   

Vergelijk realty's

Te koop Bouwgrond voor halopen bebouwing op rustige ligging nabij ta

Bouwgrond voor halopen bebouwing op rustige ligging nabij ta Bouwgrond voor halopen bebouwing op rustige ligging nabij ta Bouwgrond voor halopen bebouwing op rustige ligging nabij ta Bouwgrond voor halopen bebouwing op rustige ligging nabij ta
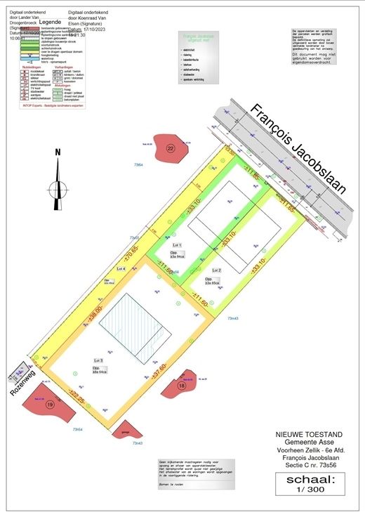
Bouwgrond voor halfopen bebouwing in rustige straat nabij centrum Zellik te koop. Het betreft een perceel van 3a 85ca met een breedte van 11,63m. ((bouwgrond aangeduid in het geel op plan) Gelegen in verkaveling met volgende voorschriften: De bouwdiepte bedraagt maximaal 15.00m op het gelijkvloers en 12.00m op de verdieping voor het hoofdgebouw. De woning moet worden ingeplant op 6.00m achter de rooilijn. De kroonlijsthoogte bedraagt 5.00 (+/-1.00)m. Wanneer er met een plat dak wordt gewerkt is de kroonlijsthoogte max. 6.50m. De aanbouw heeft een maximale hoogte van 3.50m De helling der dakvlakken ligt tussen 25° en 40°. Platte daken zijn eveneens toegelaten. De dakvorm is vrij te kiezen binnen het minimale en maximale bouwvolume. Wenst u meer informatie via telefoon of op kantoor? Contacteer ons via info@structura.be of 02/460 80 46.
Type vastgoed Grond
Prijs 198.000