Te koop KARAKTERVOLLE halfopen gezinswoning op CEN...

Beschrijving van   

Vergelijk realty's

Te koop KARAKTERVOLLE halfopen gezinswoning op CENTRALE LIGGING!

KARAKTERVOLLE halfopen gezinswoning op CENTRALE LIGGING! KARAKTERVOLLE halfopen gezinswoning op CENTRALE LIGGING! KARAKTERVOLLE halfopen gezinswoning op CENTRALE LIGGING! KARAKTERVOLLE halfopen gezinswoning op CENTRALE LIGGING! KARAKTERVOLLE halfopen gezinswoning op CENTRALE LIGGING! KARAKTERVOLLE halfopen gezinswoning op CENTRALE LIGGING! KARAKTERVOLLE halfopen gezinswoning op CENTRALE LIGGING!
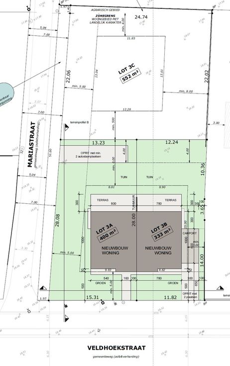
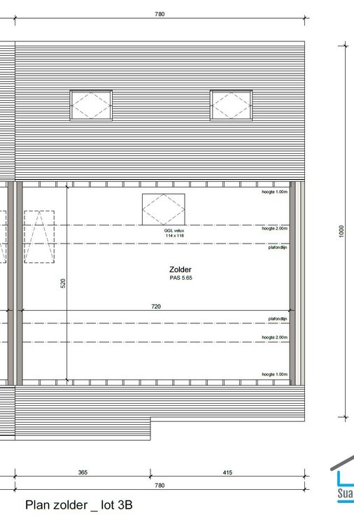
Deze SMAAKVOLLE én VERRASSEND RUIME halfopen nieuwbouwwoning wordt gebouwd in een LANDELIJKE OMGEVING, dit aan de rand van Waardamme, met een ZEER GOEDE BEREIKBAARHEID van de A17. Deze woning is ALLES-OMVATTEND u heeft ZEER MOOIE WOONRUIMTES, een PRAKTISCHE CARPORT, een GEZELLIG TUIN (333m²)! Deze woning wordt voorzien met ENERGIEBESPARENDE VOORZIENINGEN o.m. vloerverwarming, zonnepanelen, ... De woning omvat het op het gelijkvloerse een inkomhal met gastentoilet, praktische berging, lichtrijke woonkamer met open ingerichte keuken dat uitzicht biedt op de achterliggende tuin. Op de bovenverdieping is er de nachthall, afzonderlijk toilet, 3 mooie slaapkamers en een ingerichte badkamer die voorzien is van ligbad en/of inloopdouche. Bovendien beschikt deze woning over een RUIME zolder (38m²), mogelijk tot het inrichten van extra kamers. U heeft als koper nog RUIME INSPRAAK om zo uw eigen thuis ervan te maken! 3D ter illustratie VERRASSEND RUIM WONEN!! Renovatieplicht: onbekend
Type vastgoed Huis
Prijs 425.000
Aantal slaapkamers 3