Te koop Bouwgrond

Beschrijving van   

Vergelijk realty's

Te koop Bouwgrond

Bouwgrond Bouwgrond Bouwgrond Bouwgrond Bouwgrond Bouwgrond Bouwgrond Bouwgrond
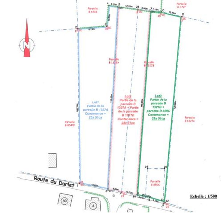
Nous vous proposons 3 terrains à bâtir de 23 ares offrant une jolie vue dégagée ! Ceux-ci sont idéalement sis au calme dans le hameau d’Inzemont. Chaque terrain dispose d’une largeur à front de voirie 18,85m. Tous les raccordements sont disponibles à proximité. PRIX DEMANDE : 75.000€ (Lot 1) 70.000€ (Lot 2 – Lot 3)
Type vastgoed Grond
Prijs 70.000