Te koop Bouwgrond

Beschrijving van   

Vergelijk realty's

Te koop Bouwgrond

Bouwgrond Bouwgrond Bouwgrond Bouwgrond Bouwgrond
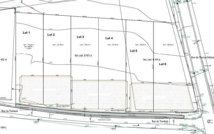
PRY-LEZ-WALCOURT. Lot n° 3, rue du Tombois. 63.194 €. Superficie 752 m², façade 15 m. Vue arrière entièrement dégagée sur la campagne. Localisation à 6 km de NALINNES, à 11 km du centre commercial du BULTIA et 19 km de Charleroi. Loisirs : les lacs de l'Eau d'Heure. Mobilité : arrêt de bus TEC à 150 m et gare de Pry à 2 km. Grands magasins à 1 km. Agence bancaire à 500 m. Plus d'infos sur notre site web : https://www.monterrain.be/terrain-a-batir-a-vendre.php - ou parlez-en avec Quentin au 0472/13.33.19.
Type vastgoed Grond
Prijs 63.194