Te koop Bouwgrond

Beschrijving van   

Vergelijk realty's

Te koop Bouwgrond

Bouwgrond Bouwgrond Bouwgrond Bouwgrond Bouwgrond Bouwgrond Bouwgrond Bouwgrond Bouwgrond Bouwgrond Bouwgrond Bouwgrond Bouwgrond
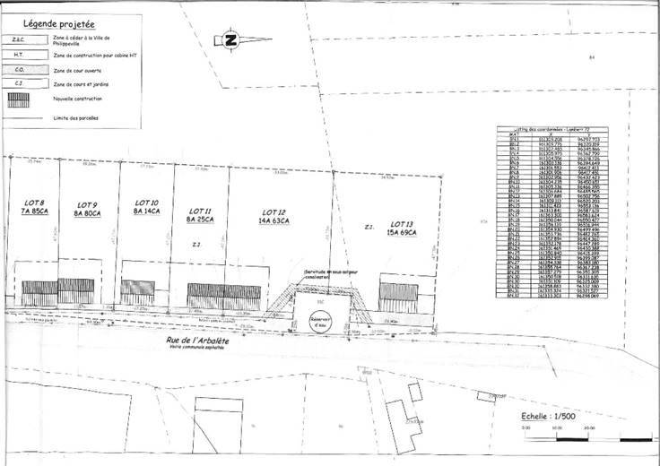
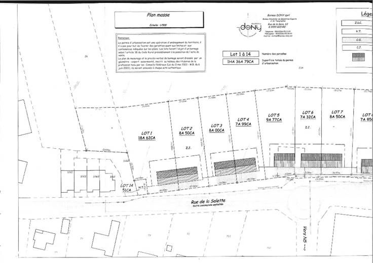
Sorry er is geen nederlandse vertaling beschikbaar. Terrain à bâtir d’une superficie d’environ 8 ares 25ca avec une longueur à rue de +- 17 m de façade pour une profondeur avoisinant les 50m. Le terrain fait partie d’un lotissement de 13 autres terrains également à vendre ! Projet de villa 3 ou 4 façades. Ceux-ci sont exposés OUEST. Les terrains sont entièrement viabilisés : eau, gaz, électricité, égout Faire offre à partir de 65.000€ + quote-part aux frais de division et de géomètre
Type vastgoed Grond
Prijs 65.000