Te koop Prachtig gelegen bouwgrond met groen verzicht

Beschrijving van   

Vergelijk realty's

Te koop Prachtig gelegen bouwgrond met groen verzicht

Prachtig gelegen bouwgrond met groen verzicht Prachtig gelegen bouwgrond met groen verzicht Prachtig gelegen bouwgrond met groen verzicht Prachtig gelegen bouwgrond met groen verzicht
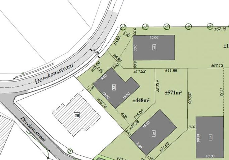
Dit nieuwbouwproject heeft omwille van zijn ligging alle troeven in handen als jouw ideale thuisbasis. Alle invalswegen naar stedelijke centra liggen in de nabijheid van de projectsite. Door de nabijheid van het centrum van Galmaarden & Geraardsbergen is winkelen evenmin een tijdverslindende bezigheid. En voor de kids is er een ruim aanbod aan scholen en ontspanningsmogelijkheden. Allen op een steenworp van je voordeur. Gelegen langs de Dorekensstraat, vlakbij de Bosberg, in het groene Galmaarden. Alle voorzieningen zijn op fietsafstand zodat u maximaal kan genieten van de rust in een uitzonderlijk oninneembaar groen kader.
Type vastgoed Grond
Prijs 144.620