Te koop Landelijk gelegen bouwgrond (5a 75ca) in G...

Beschrijving van   

Vergelijk realty's

Te koop Landelijk gelegen bouwgrond (5a 75ca) in Galmaarden te koop!

Landelijk gelegen bouwgrond (5a 75ca) in Galmaarden te koop! Landelijk gelegen bouwgrond (5a 75ca) in Galmaarden te koop! Landelijk gelegen bouwgrond (5a 75ca) in Galmaarden te koop! Landelijk gelegen bouwgrond (5a 75ca) in Galmaarden te koop!
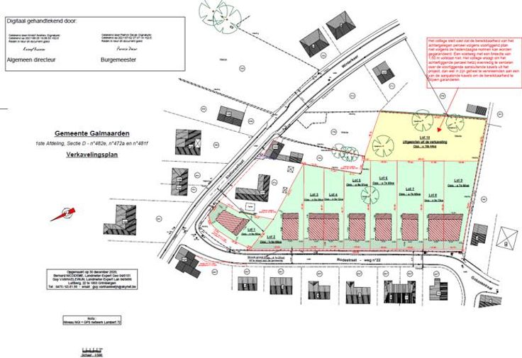
Landelijk gelegen in Galmaarden nabij het station bieden wij u dit achtste lot voor een oppervlakte van 5a 75ca in een nieuwe verkaveling aan. Lot 8 betreft een perceel voor een halfopen bebouwing met een kroonlijsthoogte van maximaal 6m met hellend dak. Het gabarit van de voorgevel en het dakvlak langs de straatzijde dient over beide woningen gelijk te zijn over een minimale lengte van 1/3de van de gevelbreedte voor de loten halfopen bebouwing. Een ondergrondse verdieping is toegelaten, ruime bebouwingen mogelijk met op het gelijkvloers 15m diepte en op de verdieping 12m diepte. Enkel eengezinswoningen zijn toegelaten en een bijkomende functie, zoals een vrij beroep of een bureel bij de woning voor een zelfstandige activiteit. Er moet een bouwvrije strook van 3,00 meter langs de perceelgrens worden gerespecteerd. De voorgevel kan ingepland worden op 5m van de rooilijn. De koper dient tevens rekening te houden met zijn aandeel in de kosten voor de verkavelingsakte (510,80€) + kosten landmeter (1.149,50€). Voor meer inlichtingen: Wendy Susilo - 0476/61.00.00 of wendy@notarishuis.eu
Type vastgoed Grond
Prijs 135.000