Te koop Bouwgrond van 1.322m² - vergunning voor 3 ...

Beschrijving van   

Vergelijk realty's

Te koop Bouwgrond van 1.322m² - vergunning voor 3 woningen aanwezig

Bouwgrond van 1.322m² - vergunning voor 3 woningen aanwezig Bouwgrond van 1.322m² - vergunning voor 3 woningen aanwezig Bouwgrond van 1.322m² - vergunning voor 3 woningen aanwezig Bouwgrond van 1.322m² - vergunning voor 3 woningen aanwezig
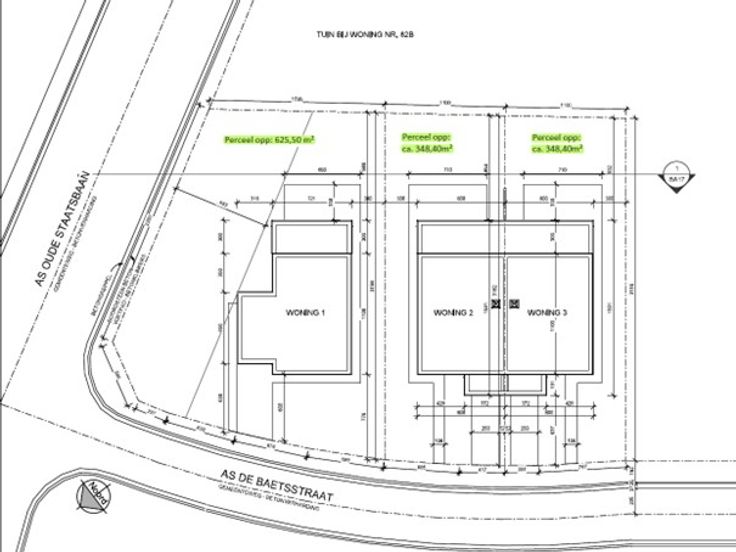
Dit mooi perceel bouwgrond is gelegen in Zomergem, deelgemeente van het groene, landelijke Lievegem. Er is een vlotte verbinding naar de woonkernen van Zomergem, Waarschoot en Lovendegem, alsook een directe aansluiting met de N9. Het perceel heeft een oppervlakte van 1.322m² en biedt verschillende mogelijkheden: renovatie huidige woning, sloop en heropbouw of ontwikkeling van meerdere woonentiteiten. Er is reeds een vergunning beschikbaar voor het bouwen van drie woningen: één open bebouwing en twee halfopen bebouwingen. Alle informatie en plannen zijn op aanvraag te verkrijgen. Interesse? Bel nu naar 0498/45.30.15 of mail naar kurt@vastgoeddevos.be . Renovatieplicht: onbekend
Type vastgoed Grond
Prijs 533.000