Te huur Nieuwbouwproject te Opwijk

Beschrijving van   

Vergelijk realty's

Te huur Nieuwbouwproject te Opwijk

Nieuwbouwproject te Opwijk Nieuwbouwproject te Opwijk Nieuwbouwproject te Opwijk Nieuwbouwproject te Opwijk Nieuwbouwproject te Opwijk
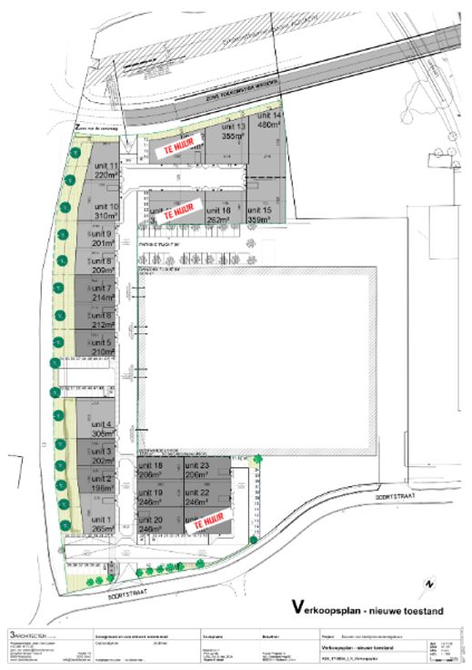
Nieuwbouw KMO-unit te huur van 370 m². Voorzien van sectionele poort en aparte toegangsdeur. Opwijk Business Park is een nieuw industrieterrein dat met KMO units vanaf 200 m² toekomt aan de nood aan kleinere bedrijfsgebouwen in de regio van Opwijk. De units zijn gelegen op slechts 6 minuten van de N47 richting Brussel en Dendermonde. Verwachtte beschikbaarheid vanaf oktober 2021 Contacteer Gaëtan voor meer info of een vrijblijvend plaatsbezoek op 0477 473 966 Renovatieplicht: onbekend
Type vastgoed Commercieel
Prijs Op aanvraag