Te koop Achterliggende bouwgrond in rustige wijk

Beschrijving van   

Vergelijk realty's

Te koop Achterliggende bouwgrond in rustige wijk

Achterliggende bouwgrond in rustige wijk Achterliggende bouwgrond in rustige wijk
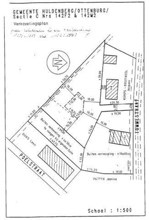
Rustig gelegen achterliggende bouwgrond in een residentiële en kalme wijk op slechts enkele minuten van het openbaar vervoer, GSK en Waver noord. Clintimmo stelt u graag dit mooie terrein voor van +/-11are24ca om een ééngezinswoning met maximum 2 woonlagen te bouwen (onder voorbehoud van aanvaarding door de gemeente) - 10 m bouwvrije zone - oriëntatie: Zuid-west. Meer informatie en bouwvoorschriften verkrijgbaar bij ons op kantoor. Overstromingsrapport: - Perceelscore of P-score: A De gegeven informatie en opgegeven oppervlaktes zijn louter indicatief en houden geen enkele juridische verbintenis in.
Type vastgoed Grond
Prijs 199.000