Te koop Bouwgrond in Genk – Winkelstraat 33

Beschrijving van   

Vergelijk realty's

Te koop Bouwgrond in Genk – Winkelstraat 33

Bouwgrond in Genk – Winkelstraat 33 Bouwgrond in Genk – Winkelstraat 33
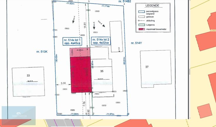
Bent u op zoek naar de perfecte plek om uw droomhuis te bouwen? Dan is deze prachtige bouwgrond op Winkelstraat 33 in Genk precies wat u zoekt! Deze halfopen bebouwing biedt u een perceel van 445 m² in een rustige en groene omgeving, ideaal voor gezinnen en natuurliefhebbers. Locatievoordelen:   3 km van het centrum van Genk: Geniet van alle stadsvoorzieningen binnen handbereik. 2 km van de oprit E314: Uitstekende verbinding naar andere steden en regio's. 1 km van C-mine: Culturele hotspot voor kunst en ontspanning. 5 km van Bokrijk: Ideaal voor ontspannende wandelingen en familie-uitjes. 2 km van het Nationaal Park Hoge Kempen: Perfect   natuurwandelingen en outdoor activiteiten. Deze bouwgrond biedt niet alleen een uitstekende locatie, maar ook een rustige en vredige omgeving, ver weg van de drukte van de stad. Hier kunt u genieten van de rust en privacy, terwijl u toch dicht bij alle belangrijke voorzieningen bent. Mis deze unieke kans niet om uw droomhuis te realiseren op deze geweldige locatie! Voor meer informatie of een bezichtiging, neem contact met ons op. Renovatieplicht: onbekend
Type vastgoed Grond
Prijs 145.000