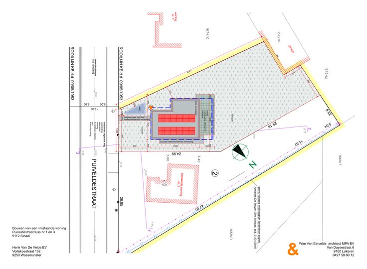
Te koop Bouwgrond met bouwvergunning

Beschrijving van   

Vergelijk realty's

Te koop Bouwgrond met bouwvergunning

Bouwgrond met bouwvergunning Bouwgrond met bouwvergunning Bouwgrond met bouwvergunning
moderne open-bebouwing met ruime leefruimte en keuken en berging op het gelijkvloers. op het eerste verdiep 3 slaapkamers en badkamer. Bouwgrond is te koop zonder bouwverplichtingen ,Je kan direct starten met bouwen. Geen immo AUB
Type vastgoed Grond
Prijs 265.000