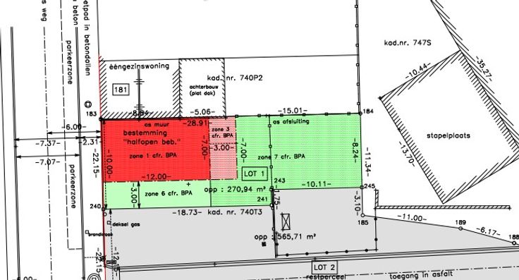
Te koop Mooie bouwgrond voor halfopen bebouwing !!

Beschrijving van   

Vergelijk realty's

Te koop Mooie bouwgrond voor halfopen bebouwing !!

Mooie bouwgrond voor halfopen bebouwing !! Mooie bouwgrond voor halfopen bebouwing !! Mooie bouwgrond voor halfopen bebouwing !!
Mooie bouwgrond voor half open bebouwing op wandelafstand van centrum Aalst. Breedte van 10 m, waarvan 7 m bebouwbaar voor ééngezinswoning. Oprit en tuin !
Type vastgoed Grond
Prijs 130.000