Te koop Bouwgrond

Beschrijving van   

Vergelijk realty's

Te koop Bouwgrond

Bouwgrond Bouwgrond Bouwgrond Bouwgrond
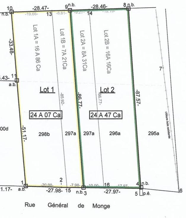
Terrain à bâtir Rue Général de Monge, 5660 Petigny (Couvin) 2 parcelles de terrain à bâtir situées au lieu-dit Tiers des Jours, rue Général de Monge à Petigny. Ensemble cadastré section A numéros 0296A P0000, 0297A P0000 et 0298B P0000, pour une contenance totale de 48a 54ca. A proximité de Couvin et d’un accès à l’axe Reims – Couvin – Charleroi. Une partie des terrains est en zone inondable. VENTE EN 1 OU 2 LOTS. Superficie du lot 1 : 24a 07ca. Superficie du lot 2 : 24a 47ca. RC : 25 euros. Faire offre à partir de 84.500 euros pour le lot 1. Faire offre à partir de 85.500 euros pour le lot 2. Faire offre à partir de 170.000 pour l’ensemble. Renseignements en l’Etude.
Type vastgoed Grond
Prijs 170.000