Te koop Bouwgrond

Beschrijving van   

Vergelijk realty's

Te koop Bouwgrond

Bouwgrond Bouwgrond Bouwgrond Bouwgrond
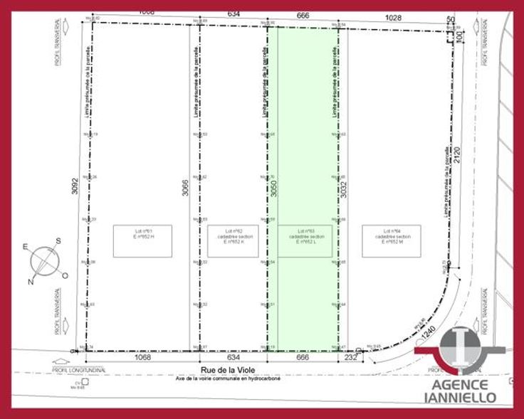
Anderlues. Magnifique parcelle de terrain aux dimensions, relief et orientation idéals vendue avec permis d'urbanisme obtenu pour une habitation unifamiliale 2 façades. Le prix comprenant les honoraires de l'architecte, de l'ingénieur en stabilité ainsi que les essais de sol et la déclaration initiale PEB rend l'attractivité financière de cette parcelle incontournable. Proche des grands axes traversant la région et de toutes les commodités tout en bénéficiant du calme de la campagne, vivre à Anderlues avec votre famille deviendra une évidence une fois sur les lieux. À découvrir absolument ! Prix : 54.900 euros. Tél : 0477/39.64.99
Type vastgoed Grond
Prijs 49.000