Te koop Nieuwbouwwoning te Budingen

Beschrijving van   

Vergelijk realty's

Te koop Nieuwbouwwoning te Budingen

Nieuwbouwwoning te Budingen Nieuwbouwwoning te Budingen Nieuwbouwwoning te Budingen Nieuwbouwwoning te Budingen Nieuwbouwwoning te Budingen Nieuwbouwwoning te Budingen Nieuwbouwwoning te Budingen Nieuwbouwwoning te Budingen
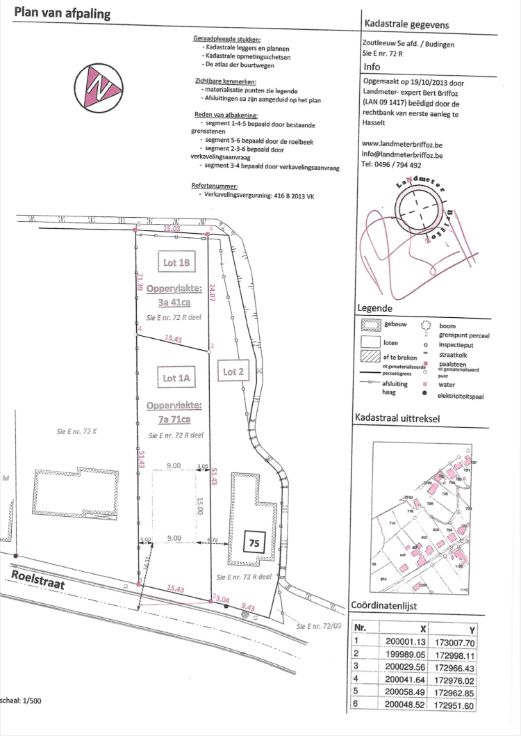
Deze leuke bouwgrond gelegen in Budingen, een deelgemeente van Zoutleeuw is klaar voor een mooie open bebouwing. De grond heeft een totale oppervlakte van 7are71ca. Perfect voor een woning met gevelbreedte van 9m en 15m diepte. Het perceel heeft een perceeldiepte van 51,43 meter en een breedte aan de straat van 15,43. Het perceel loopt ook mooi recht naar achteren. De landelijk woning heeft een oppervlakte van 148m². Er is een eet- en zithoek voorzien en een ruime keuken met berging. Boven zijn er alvast 3 slaapkamers en een badkamer met douche. Alle keuzes i.v.m. de afwerking van de woning zijn naar wens bespreekbaar. Ook het ontwerp van de woning is slechts een voorstel en kan volledig met jou op maat uitgewerkt worden.Vanaf casco afwerking biedt de woning u alvast alle zekerheden en garanties en van daaruit kan u zorgeloos verder afwerken. Een volledig afgewerkte woning is natuurlijk ook mogelijk! Voor meer info neem gerust contact op met ons, en wie weet staat jouw droomhuis hier binnenkort. We geven u graag uitgebreid uitleg over de mogelijkheden in een persoonlijk gesprek in onze toonzaal. Dit project wordt aangeboden i.s.m. makelaar Pierco PRIJS CASCO LUXE € 335 000 excl. alle kosten op grond en constructie € 410 000 incl. alle kosten op grond en constructie PRIJS SLEUTEL OP DE DEUR LUXE € 360 000 excl. alle kosten op grond en constructie € 445 000 incl. alle kosten op grond en constructie
Type vastgoed Huis
Prijs 335.000
Bewoonbare opp. 148
Aantal slaapkamers 3
Aantal badkamers 1