Te koop Perceel bouwgrond voor HOB

Beschrijving van   

Vergelijk realty's

Te koop Perceel bouwgrond voor HOB

Perceel bouwgrond voor HOB Perceel bouwgrond voor HOB Perceel bouwgrond voor HOB Perceel bouwgrond voor HOB
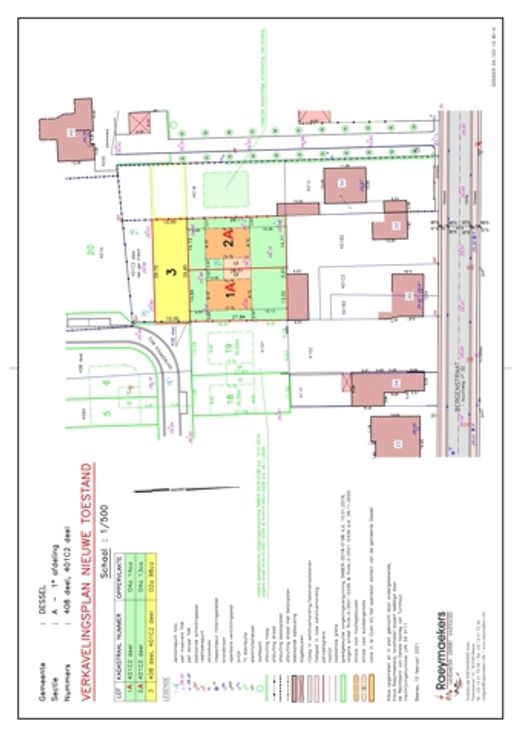
Gunstig gelegen bouwgrond (HOB) te Dessel. Deze bouwgrond is gelegen in een nieuwe verkaveling in een doodlopende straat. De voornaamste voorzieningen zoals winkels, scholen en openbaar vervoer alsook het sportcentrum bevinden zich in de nabije omgeving. Bijzonderheden: - Breed perceel van meer dan 14m - zeer rustige ligging Bouwvoorschriften beschikbaar op kantoor. Meer info via maarten@bregotrust.be
Type vastgoed Grond
Prijs 139.000