Te koop Grond

Beschrijving van   

Vergelijk realty's

Te koop Grond

Grond Grond Grond
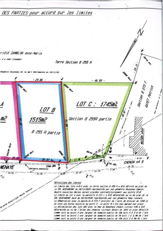
Sorry er is geen nederlandse vertaling beschikbaar. Trevi Rasquain vous propose, dans le charmant village de Solières, cette très jolie parcelle de terrain exposée PLEIN SUD située en zone d'habitat à caractère rural et disposant d'une façade de 25,8 mètres à rue environ avec une superficie totale de 1745 m². Opportunité à saisir !!! Prix : 99.500 euros sous réservation d'acceptation du propriétaire. Informations données à titre indicatives et non contractuelles. Cette annonce ne constitue pas une offre ! Plus d'infos sur www.trevirasquain.be ou au 085/25.39.03
Type vastgoed Grond
Prijs 99.500