Te koop Kapelhofstraat Lot 5 - Hasselt

Beschrijving van   

Vergelijk realty's

Te koop Kapelhofstraat Lot 5 - Hasselt

Kapelhofstraat Lot 5 - Hasselt
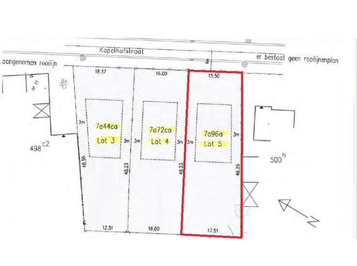
- Deze bouwgrond is gelegen in een rustige omgeving, zuidwest gericht, in een zijstraat van de Sint-Truidersteenweg ter hoogte van het centrum van Sint-Lambrechts- Herk. - Vlotte verbinding met de E-313 afrit Hasselt Zuid, ter hoogte van de Ikea en natuurlijk de grote ring van Hasselt. - In de onmiddellijke buurt aan de andere kant van de N-722, vindt men diverse handelszaken zoals; Delhaize Proxy, Lidl, Jumbo, apotheek, ijssalon, huisarts, tandarts, basisschool, … - Deze bouwgrond heeft een oppervlakte van 7a96. - Aan de straatzijde is er een perceelbreedte van 15,50m en de perceeldiepte bedraagt ca. 48m. - Het perceel is in woongebied gelegen volgens het gewestplan. Er is geen BPA of RUP van toepassing. - De verordeningen van de stad Hasselt zijn van toepassing, waaronder de verordening Woonkwaliteit. Deze verordening is hier te downloaden op de website van de stad Hasselt: https://www.hasselt.be/nl/gemeentelijke-stedenbouwkundige-verordeningen - De bouwvoorschriften voor open bebouwing zijn te vinden vanaf bladzijde 16 van deze verordening. - Voor meer info en inlichtingen kan u ons steeds contacteren op het nummer 0486-603040.
Type vastgoed Grond
Prijs 234.000