Te koop Weide

Beschrijving van   

Vergelijk realty's

Te koop Weide

Weide Weide Weide Weide Weide Weide Weide Weide Weide Weide Weide Weide Weide Weide Weide Weide Weide Weide Weide Weide Weide Weide
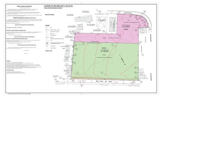
Prairie de 19 ares 94 centiares (1.994m²) suivant plan de mesurage, située à Braine-L’alleud – 5ème division (Lillois-Witterzée), à front de la rue Ramelot, en zone agricole au plan de secteur, désignée « Partie B » et sous teinte magenta au plan établi par le Géomètre-Expert E. Theisman en date du 6 juillet 2021, composée : a) de la parcelle cadastrée section B, numéro 68F P0000 pour 6a 8ca, et b) d’une partie de la parcelle cadastrée section B, numéro 67H P0000. Numéro parcellaire réservé au cadastre pour ladite « Partie B »: 25054 B 254 B P0000. À partir de 10.000,00 €. Voir plan de mesurage pour la délimitation du bien. La présente annonce ne vaut pas offre de vente. Les intéressés sont renvoyés aux CONDITIONS DE VENTE et à la PROCÉDURE DE VENTE qui sont publiées sur le site du SPW https://finances.wallonie.be/immeubles-a-vendre.html Le règlement de vente et les clauses et conditions de la promesse d’acquisition établie par le Comité d’acquisition, qui s’imposeront à l’acquéreur, sont publiés sur ledit site internet du SPW finances. Les offres sont à introduire par recommandé au Comité d’acquisition du Brabant wallon le 31/10/2024 au plus tard (date d’envoi, cachet de la poste faisant foi), au moyen du formulaire d’offre fourni sur le site précité du SPW ou sur demande. Une offre doit être introduite pour être convoqué, en principe à une séance unique de vente (pas de faculté de surenchère).
Type vastgoed Grond
Prijs 10.000