Te koop Huis

Beschrijving van   

Vergelijk realty's

Te koop Huis

Huis Huis Huis Huis Huis Huis Huis Huis Huis Huis Huis Huis Huis Huis Huis Huis Huis Huis Huis Huis Huis Huis Huis Huis Huis Huis Huis
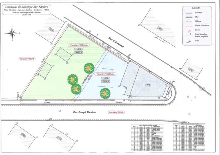
Maison 4 façades (216 m²) avec garage (porte mécanique) et jardin (4a 21ca) (repris sous LOT B sur le plan annexé) comprenant : 4 grandes caves, au rez : hall, salon, sàm, cuisine entièrement équipée (années 80), sdb ; au 1er étage : 4 chambres ; au 2e étage : grenier aménageable, châssis PVC DV, chauffage central mazout (cuves 2x 1200l), chauffe-eau (neuf), PEB G 643, élect. non conforme, possibilité droits réduits sous réserve de révision du RC par l’administration. Faire offre àpd 225.000 €, visites s'adresser en l'étude.
Type vastgoed Huis
Prijs 225.000
Aantal slaapkamers 4