Te koop Terrain agricole

Beschrijving van   

Vergelijk realty's

Te koop Terrain agricole

Terrain agricole Terrain agricole Terrain agricole Terrain agricole Terrain agricole Terrain agricole
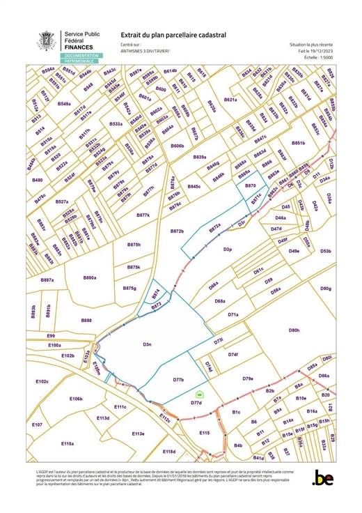
Sorry er is geen nederlandse vertaling beschikbaar. VENDU VENDU VENDU !!!!! Trevi Rasquain vous propose cet ensemble de parcelles boisées d'un peu plus de 9 hectares (90.457m²), situées dans la commune d'Anthisnes, composées principalement de chênes, frênes, quelques bouleaux et érables. Les parcelles se trouvent en zone forestière au plan de secteur. Chemin d'accès depuis la Grand Route à Tavier. Prix de vente : FAIRE OFFRE A PARTIR DE 99.500€, sous réserve d'acceptation du propriétaire. Cette annonce ne constitue pas une offre. Informations données à titre indicatives et non contractuelles. Plus d'informations www.trevirasquain.be ou au 085.25.39.03.
Type vastgoed Grond
Prijs Op aanvraag