Te koop Bouwgrond voor halfopen bebouwing met land...

Beschrijving van   

Vergelijk realty's

Te koop Bouwgrond voor halfopen bebouwing met landelijk uitzicht!

Bouwgrond voor halfopen bebouwing met landelijk uitzicht! Bouwgrond voor halfopen bebouwing met landelijk uitzicht! Bouwgrond voor halfopen bebouwing met landelijk uitzicht! Bouwgrond voor halfopen bebouwing met landelijk uitzicht! Bouwgrond voor halfopen bebouwing met landelijk uitzicht! Bouwgrond voor halfopen bebouwing met landelijk uitzicht! Bouwgrond voor halfopen bebouwing met landelijk uitzicht!
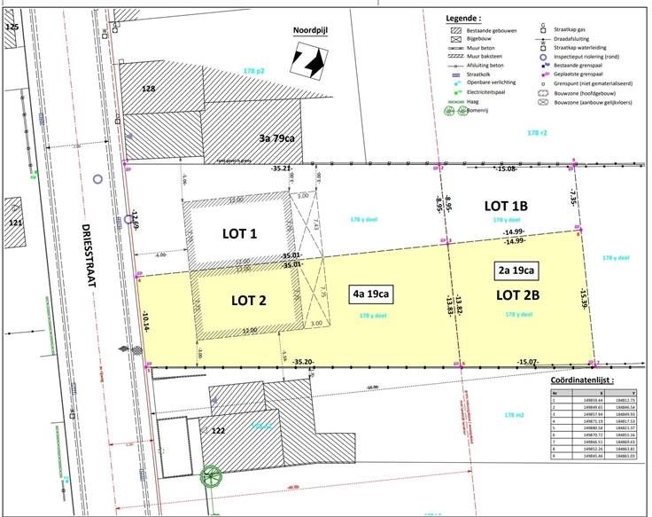
Bouwgrond voor halfopen bebouwing met landelijk uitzicht! Bouwvoorschriften: voorgevelbreedte 7,75m - bouwdiepte gelijkvloers 15m - verdiepen 12m - plat dak of zadeldak toegelaten. Met zijn maximale bebouwbare oppervlakte van 279m² en prachtig uitzicht is dit een uitgelezen kans om jouw droomwoning op een droomlocatie te bouwen! De aanpalende bouwgrond aan de linkerkant staat ook te koop, meer informatie en bouwplannen vindt u tevens op onze website. Wenst u meer informatie over deze bouwgrond of een GRATIS SCHATTING van uw eigendom? Contacteer dan VMV-VASTGOED via 0474/89 77 34 of via info@vmv-vastgoed.be!
Type vastgoed Grond
Prijs Op aanvraag