Te koop Prachtig perceel bouwgrond voor HOB te Roo...

Beschrijving van   

Vergelijk realty's

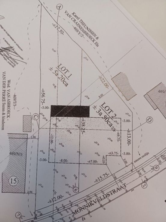
Te koop Prachtig perceel bouwgrond voor HOB te Roosdaal (3a50ca) !

Prachtig perceel bouwgrond voor HOB te Roosdaal (3a50ca) ! Prachtig perceel bouwgrond voor HOB te Roosdaal (3a50ca) ! Prachtig perceel bouwgrond voor HOB te Roosdaal (3a50ca) ! Prachtig perceel bouwgrond voor HOB te Roosdaal (3a50ca) ! Prachtig perceel bouwgrond voor HOB te Roosdaal (3a50ca) ! Prachtig perceel bouwgrond voor HOB te Roosdaal (3a50ca) ! Prachtig perceel bouwgrond voor HOB te Roosdaal (3a50ca) !
Prachtig perceel bouwgrond voor half-open bebouwing in een doodlopende straat te Roosdaal (3a50ca). Deze bouwgrond is gelegen nabij scholen en openbaar vervoer. Perceel heeft een mooie straatbreedte van 15,75m en een oppervlakte van 3a50ca, lot 2 in de verkaveling. Er mogen twee volle verdiepingen en een dakverdieping gebouwd worden. Achteraan is er een mooi groen zicht. Werkelijk een buitenkans. Voor meer info of een afspraak 0497/444201 of info@vandevondel.be.
Type vastgoed Grond
Prijs 149.000