Te koop Bouwgrond

Beschrijving van   

Vergelijk realty's

Te koop Bouwgrond

Bouwgrond Bouwgrond Bouwgrond
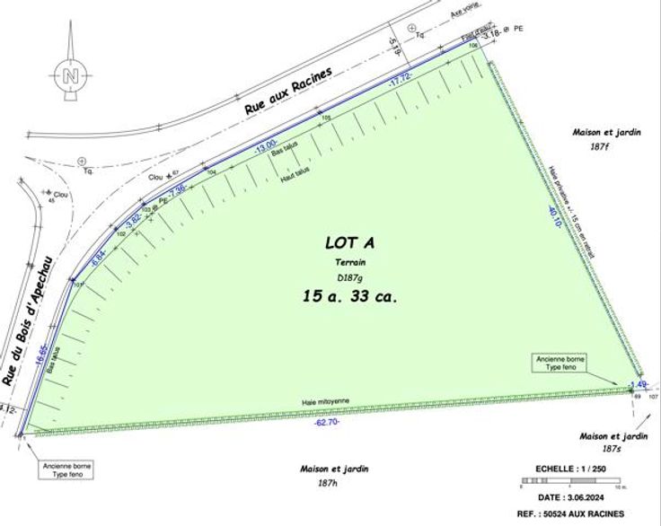
A vos projets: situé à 5 minutes du centre de Braine-le-Château, au calme dans un quartier résidentiel, proche des grands axes routiers, IVA vous propose cette très belle parcelle de terrain de 15 ares 33 orientée Sud. Libre de constructeur, possibilité d'y construire 3 habitations (3 maisons ou une maison et un immeuble de deux appartements) sous réserve d'acceptation de l'urbanisme. Largeur à rue +/- 65 m et +/- 25 m de profondeur. Terrain idéal pour investisseurs. *** FAIRE OFFRE A PARTIR DE 330.000€ SOUS RESERVE D'ACCEPTATION DES VENDEURS ***. Pour plus d'informations, contactez nous au 02 850 03 63.
Type vastgoed Grond
Prijs 330.000