Te koop Bouwgrond

Beschrijving van   

Vergelijk realty's

Te koop Bouwgrond

Bouwgrond Bouwgrond Bouwgrond Bouwgrond
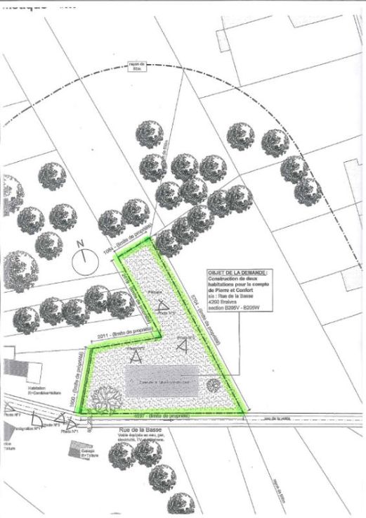
FAIRE OFFRE A PARTIR DE 60.000€ SOUS RESERVE D'ACCEPTATION DU PROPRIETAIRE ! Beau terrain constructible de 11 ares 75 ca dans un magnifique environnement champêtre. Large façade de 47 m. Permis obtenu pour 2 maisons ! Ruelle calme sans passage! Vue imprenable sur campagne !
Type vastgoed Grond
Prijs 60.000