Te koop Overdekte parkeerplaats

Beschrijving van   

Vergelijk realty's

Te koop Overdekte parkeerplaats

Overdekte parkeerplaats Overdekte parkeerplaats Overdekte parkeerplaats Overdekte parkeerplaats Overdekte parkeerplaats
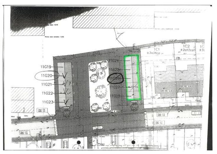
TRIOR RIXENSART vous propose un lot de 5 garages dans un lotissement, à proximité de la gare de Mont-St-Guibert ! Idéal pour un investisseur - Possibilité d'avoir un rendement de 3,6% NET/AN Largeur : 3.36M et longueur 5.36M par garage Actuellement 4 garages loués pour un montant mensuel de 275€ Pas de copropriété, ni de charges communes ! Bon investissement durable - Précompte immobilier : 300€ A visiter en exclusivité avec TRIOR, dossier complet sur demande.
Type vastgoed Garage
Prijs 115.000