Te koop Bouwgrond met sloopverplichting voor een g...

Beschrijving van   

Vergelijk realty's

Te koop Bouwgrond met sloopverplichting voor een gesloten bebouwing.

Bouwgrond met sloopverplichting voor een gesloten bebouwing. Bouwgrond met sloopverplichting voor een gesloten bebouwing. Bouwgrond met sloopverplichting voor een gesloten bebouwing. Bouwgrond met sloopverplichting voor een gesloten bebouwing. Bouwgrond met sloopverplichting voor een gesloten bebouwing.
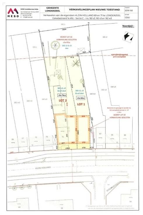
Deze bouwgrond voor een gesloten bebouwing met groene vergezichten heeft een perceeloppervlakte van 3a 60ca en is gunstig gelegen nabij winkels, scholen, het openbaar vervoer en belangrijke verbindingswegen. De bouwvoorschriften zijn als volgt: 2 bouwlagen met een bouwdiepte van maximaal 15m op het gelijkvloers en 12m op de verdiepingen met een gevelbreedte van 7m. De perceelbreedte bedraagt 7m en de perceeldiepte bedraagt circa. 50m. Sloopverplichting van toepassing, uit te voeren door de koper: sloop en heropbouw mogelijk aan 6% BTW. Contacteer ons gerust bij interesse of vragen. 015 711 000 - info@clavisvastgoed.be
Type vastgoed Grond
Prijs 155.000