Te koop Bouwgrond

Beschrijving van   

Vergelijk realty's

Te koop Bouwgrond

Bouwgrond Bouwgrond Bouwgrond Bouwgrond Bouwgrond Bouwgrond Bouwgrond Bouwgrond Bouwgrond Bouwgrond Bouwgrond Bouwgrond Bouwgrond Bouwgrond Bouwgrond Bouwgrond
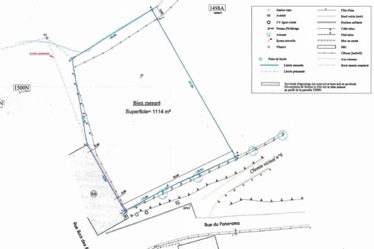
Langs een weggetje dat in het woud verdwijnt, rustig in een woonwijk in de heuvels van de charmante stad Houffalize, moet u dit mooie, hellend bouwterrein komen ontdekken. Het biedt een mooi zicht op één van de mooiste regio's van de Ardennen. Een ideale plaats om uw gezellige nestje te bouwen.
Type vastgoed Grond
Prijs 75.000