Te koop Halfopen nieuwbouw woning met 4 SLK - Lot 2

Beschrijving van   

Vergelijk realty's

Te koop Halfopen nieuwbouw woning met 4 SLK - Lot 2

Halfopen nieuwbouw woning met 4 SLK - Lot 2 Halfopen nieuwbouw woning met 4 SLK - Lot 2 Halfopen nieuwbouw woning met 4 SLK - Lot 2 Halfopen nieuwbouw woning met 4 SLK - Lot 2 Halfopen nieuwbouw woning met 4 SLK - Lot 2 Halfopen nieuwbouw woning met 4 SLK - Lot 2 Halfopen nieuwbouw woning met 4 SLK - Lot 2 Halfopen nieuwbouw woning met 4 SLK - Lot 2 Halfopen nieuwbouw woning met 4 SLK - Lot 2 Halfopen nieuwbouw woning met 4 SLK - Lot 2
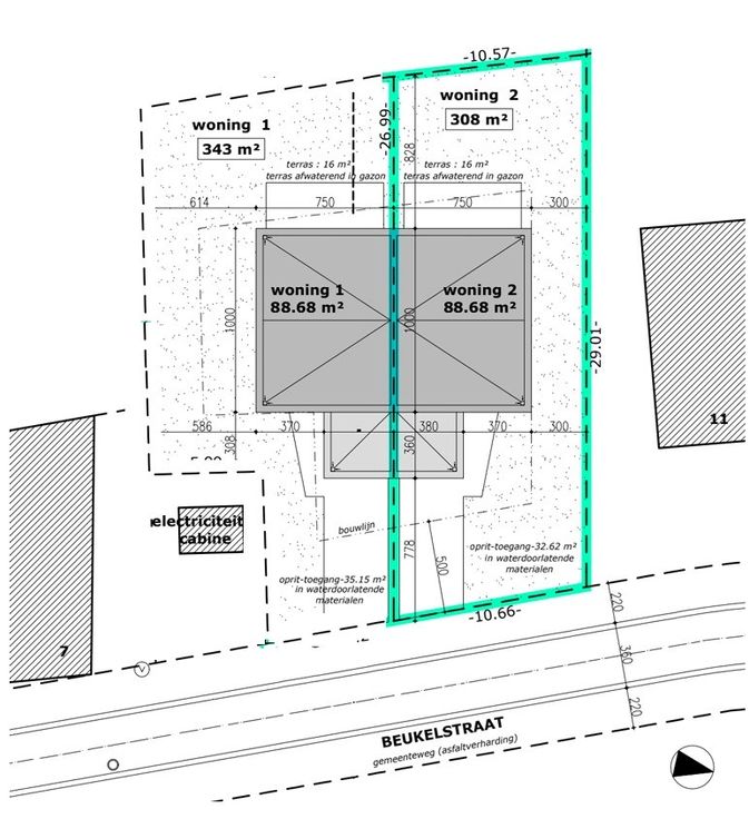
Deze nieuwbouwwoning bevindt zich in een rustige omgeving te Houthulst. De halfopen woning bestaat uit 2 volwaardige bouwlagen en is voorzien van 4 slaapkamers! De woning heeft ook een inpandige garage met automatische kantelpoort, die zich grotendeels voor het hoofdgebouw bevindt. Hierdoor zijn de woonkamer en keuken zeer ruim. De afwerking van de binnenruimtes is reeds begonnen. Zo ligt er al een tegelvloer in de leefruimtes, zijn de muren bepleisterd, is er een vaste trap aanwezig ... Het gebouw voldoet aan de huidige energienormen, berekend E-peil van 30. De oppervlakte van het perceel bedraagt 308 m² , waarbij de tuin zuid-west gericht is. Geschikt als eengezinswoning of als opbrengsteigendom! Deze prijs is inclusief grondwaarde (perceel) en constructiewaarde (gebouw), exclusief kosten. Bouwfirma van deze koppelbouw is 'bouwbedrijf Pieter Blomme' uit Torhout.
Type vastgoed Huis
Prijs 298.000
Bewoonbare opp. 160
Aantal slaapkamers 4
Aantal badkamers 1