Te koop Unieke bouwgrond voor open bebouwing of z...

Beschrijving van   

Vergelijk realty's

Te koop Unieke bouwgrond voor open bebouwing of zorgwoning.

Unieke bouwgrond voor open bebouwing  of zorgwoning. Unieke bouwgrond voor open bebouwing  of zorgwoning. Unieke bouwgrond voor open bebouwing  of zorgwoning. Unieke bouwgrond voor open bebouwing  of zorgwoning. Unieke bouwgrond voor open bebouwing  of zorgwoning.
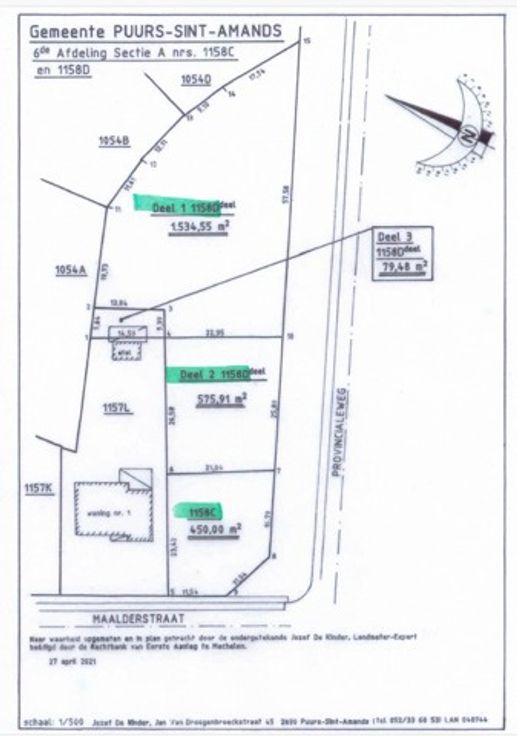
Deze unieke bouwgrond is geschikt voor een open bebouwing met platdak en is gelegen vlakbij Opdorp/Buggenhout in Puurs-Sint-Amands. Ook bestaat de mogelijkheid om (een) zorgwoning(en) op te trekken, zolang ze niet afsplitsbaar zijn van de woning. Het perceel, voor toekomstig huisnummer Maalderstraat 1 in Puurs-Sint-Amands is zeer gunstig gelegen nabij de invalsweg: Provincialeweg. De Provincialeweg is een asfaltweg die onlangs een totale make-over kreeg. Het lot 25are 60ca (bestaande uit 3 percelen: 4are 50ca + 5a 75ca + 15are 34ca) wordt in zijn geheel verkocht. Het perceel is geschikt voor een open bebouwing met de volgende voorschriften: De maximale bouwdiepte bedraagt maximaal zowel 17 meter op het gelijkvloers als 17 meter op de eerste verdieping (max. 2 bovengrondse bouwlagen). 10 meter bouwbreedte. De bouw van een kelder is toegestaan. Het perceel kenmerkt zich door zijn centrale ligging. U kan een grandioze woning op het perceel oprichten. Momenteel staan op de grond gestalde containers van de firma 'Stadsbader'. Deze containers zullen nog verdwijnen. Nutsvoorzieningen (elek, riolering, water, telenet,...) aanwezig. De stedenbouwk. inlichtingen zijn in aanvraag. De stedenbouwkundige bouwvoorschriften + plan is te downloaden op: www.arthur.be. Verdere info over uw persoonlijke bouw mogelijkheden zijn te bekomen bij de Gemeente Puurs-Sint-Amands: info@puursam.be. Wenst u meer info of een GRATIS SCHATTING? Contacteer Dieter van Immo Arthur Segers via info@arthur.be
Type vastgoed Grond
Prijs 290.000