Te koop Perceel bouwgrond geschikt voor gesloten b...

Beschrijving van   

Vergelijk realty's

Te koop Perceel bouwgrond geschikt voor gesloten bebouwing

Perceel bouwgrond geschikt voor gesloten bebouwing Perceel bouwgrond geschikt voor gesloten bebouwing Perceel bouwgrond geschikt voor gesloten bebouwing
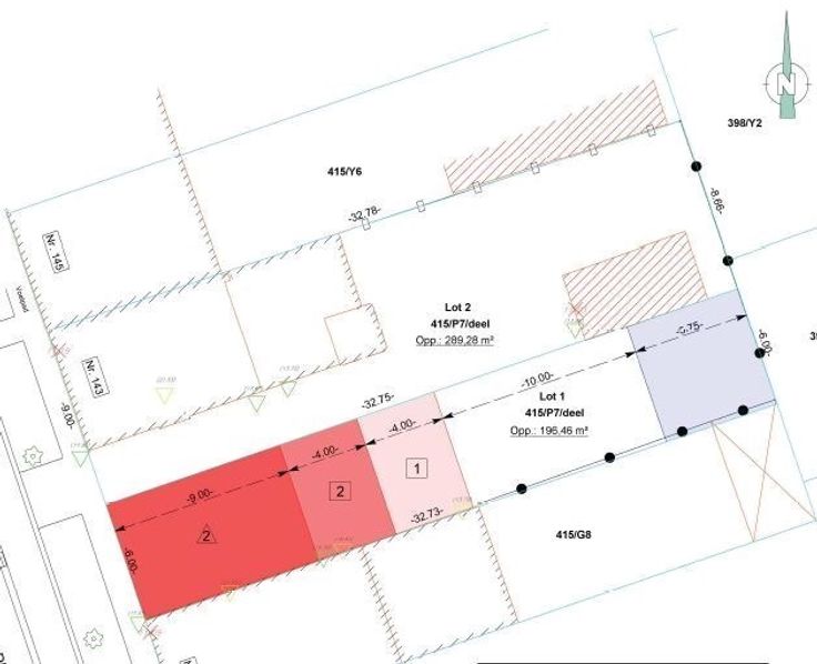
Een perceel bouwgrond bestemd voor het bouwen van een gesloten bebouwing, Het betreft een oost georiënteerd perceel met een perceelbreedte van 6m. Het perceel is op een steenworp van het centrum gelegen waardoor winkels, scholen, openbaar vervoer en de uitvalswegen vlot bereikbaar zijn. Richtlijnen stedenbouwkundige voorschriften onder andere een bouwbreedte van maximum 6m, maximale bouwdiepte 17m. De bouwhoogte van de kroonlijst voorgevel maximaal 6,50m. Deze bouwgrond biedt de mogelijkheid tot het bouwen van een gezinswoning met een volume van 230m² (17-13-9) met inpandige garage. Meer gedetailleerde bouwvoorschriften beschikbaar op kantoor. Het perceel is onmiddellijk beschikbaar bij akte. Bijzonderheden: mogelijkheid tot overname van een omgevingsdossier voor het bouwen van een gezinswoning met inpandige garage, mits meerprijs.
Type vastgoed Grond
Prijs 157.000