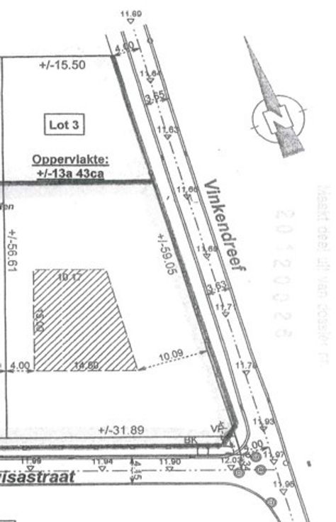
Te koop Rustig gelegen hoekperceel in residentiele...

Beschrijving van   

Vergelijk realty's

Te koop Rustig gelegen hoekperceel in residentiele buurt

Rustig gelegen hoekperceel in residentiele buurt Rustig gelegen hoekperceel in residentiele buurt Rustig gelegen hoekperceel in residentiele buurt Rustig gelegen hoekperceel in residentiele buurt Rustig gelegen hoekperceel in residentiele buurt Rustig gelegen hoekperceel in residentiele buurt Rustig gelegen hoekperceel in residentiele buurt Rustig gelegen hoekperceel in residentiele buurt
Mooi perceel bouwgrond uitkijkend op groengebied. Op wandel afstand van Tremelo centrum. Verdere informatie beschikbaar op kantoor.
Type vastgoed Grond
Prijs 264.000