Te koop Rustig gelegen perceel bouwgrond voor half...

Beschrijving van   

Vergelijk realty's

Te koop Rustig gelegen perceel bouwgrond voor halfopen bebouwing

Rustig gelegen perceel bouwgrond voor halfopen bebouwing Rustig gelegen perceel bouwgrond voor halfopen bebouwing Rustig gelegen perceel bouwgrond voor halfopen bebouwing Rustig gelegen perceel bouwgrond voor halfopen bebouwing
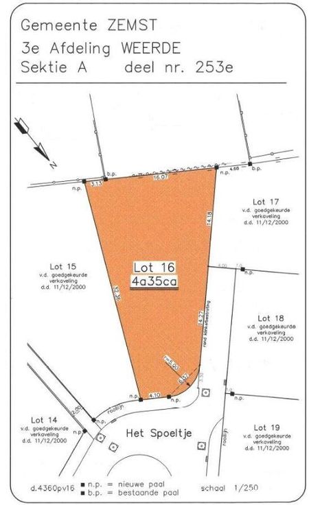
Gunstig gelegen perceel bouwgrond voor type halfopen bebouwing op het einde van een doodlopend straatje. Centrum Zemst genaamd Het Spoeltje van 435 m² groot. De tuin geniet van een zonnige zuidwest ligging. Straat genaamd: Het Spoeltje. Perceel te situeren rechts van Het Spoeltje nummer 32. Vanwege zijn centrale ligging in de onmiddellijke nabijheid van winkelgelegenheden, openbaar vervoer en onderwijs. K.i. 3. Niet overstromingsgevoelig, stedenbouwkundige voorschriften en opmetingsplan beschikbaar op aanvraag. P score: A
Type vastgoed Grond
Prijs 170.000