Te huur Het betreft casco nieuwbouw KMO-units, gel...

Beschrijving van   

Vergelijk realty's

Te huur Het betreft casco nieuwbouw KMO-units, gelegen op 5 minuten

Het betreft casco nieuwbouw KMO-units, gelegen op 5 minuten Het betreft casco nieuwbouw KMO-units, gelegen op 5 minuten Het betreft casco nieuwbouw KMO-units, gelegen op 5 minuten Het betreft casco nieuwbouw KMO-units, gelegen op 5 minuten Het betreft casco nieuwbouw KMO-units, gelegen op 5 minuten Het betreft casco nieuwbouw KMO-units, gelegen op 5 minuten Het betreft casco nieuwbouw KMO-units, gelegen op 5 minuten
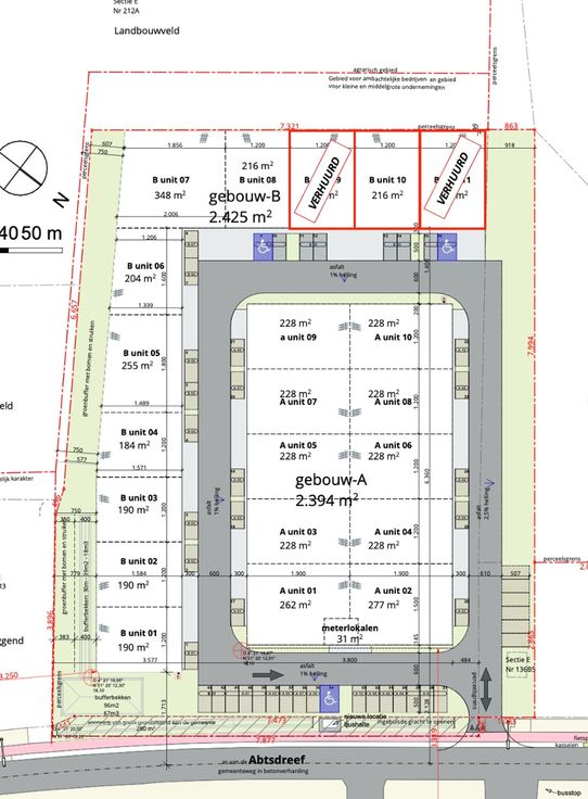
MAGAZIJN/ATELIER - constructie: staal - geïsoleerd dak: steeldeck - dak voorzien van: lichtstraten - vrije hoogte: 6 m - aansluiting op de openbare riolering - sectionaal poort : elektrisch bedienbaar - Veiligheid: branddetectie / rookluik - sanitaire voorzieningen - parking: 2 parkeerplaatsen per unit UNIT OPPERVLAKTE PRIJS/M2/JAAR (excl. 21% BTW) B10 216 m2 € 75,00 / m2 /jaar C30 144 m2 € 75,00 / m2 /jaar C31 144 m2 € 75,00 / m2 /jaar C32 144 m2 € 75,00 / m2 /jaar C33 144 m2 € 75,00 / m2 /jaar
Type vastgoed Commercieel
Prijs 1.200