Te koop grond

Beschrijving van   

Vergelijk realty's

Te koop grond

grond grond grond
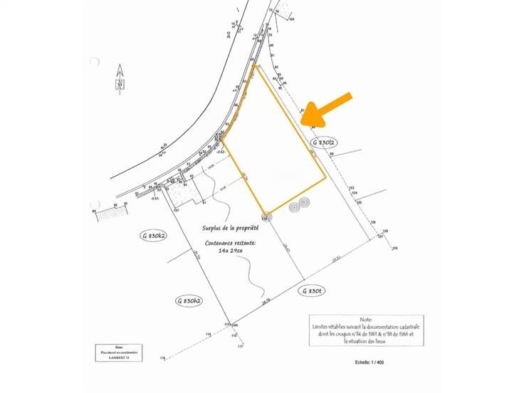
Sorry er is geen nederlandse vertaling beschikbaar. Terrain de 8 ares 40 centiares situé sur les hauteurs de Dinant, bénéficiant d'un emplacement privilégié à proximité des commodités. Ce terrain constructible est une opportunité idéale pour réaliser votre projet immobilier dans un cadre offrant à la fois une vue dégagée et un accès rapide au centre-ville. Vous serez à seulement quelques minutes des commerces, des écoles et des services, tout en profitant de la beauté naturelle de la région. Dinant, réputée pour son riche patrimoine historique, vous séduira par ses paysages pittoresques le long de la Meuse. La ville offre une variété d'activités culturelles et touristiques, telles que la visite de la célèbre Citadelle, la collégialeNotre-Dame, ou encore des croisières relaxantes sur la Meuse. Pour les amateurs de nature et de sport, Dinant est également un point de départ idéal pour des randonnées et des balades en plein air. Ce terrain représente une opportunité rare de construire votre futur foyer dans une région qui allie praticité et charme. Contactez-nous dès aujourd'hui pour obtenir plus d'informations et organiser une visite.
Type vastgoed Grond
Prijs 69.000