Te koop Te koop - Grond - Outgaarden

Beschrijving van   

Vergelijk realty's

Te koop Te koop - Grond - Outgaarden

Te koop - Grond - Outgaarden Te koop - Grond - Outgaarden Te koop - Grond - Outgaarden
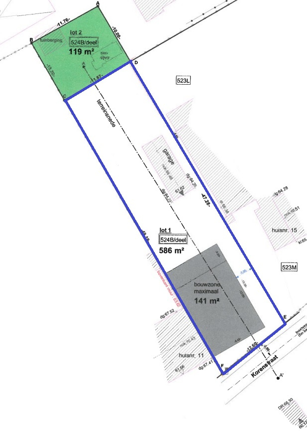
Type vastgoed Grond
Prijs 130.000
Opp. van het terrein 586